由中国科学院青海盐湖研究所承担完成的“盐湖浓缩卤水-硅酸盐水盐体系高温高压相平衡及硅酸镁锂复合材料”项目获2010年青海省科学技术进步三等奖。
该项目对盐湖水盐体系高温高压相平衡进行了研究,将盐湖卤水体系和硅酸盐水盐体系结合起来,模拟形成天然硅酸镁锂的地质条件,采用水热合成法,以较大比例和较宽镁锂范围的盐湖卤水合成多元素材料。通过研究高温高压Li+,Mg2+∥Cl-,SO42-,SiO32--H2O体系中卤水与硅酸盐相互作用的行为,提供了该体系中形成的化合物,以及相应的相区大小、性质等信息,所得相图为利用浓缩卤水直接合成硅酸镁锂及盐湖浓缩卤水的合理开发、利用提供了科学理论依据。研究结果为盐湖地质成因,盐湖中矿物形成,硅酸盐新的合成领域,新化合物的发现以及盐湖卤水的综合利用,开发盐湖高值化新产品提供了基础数据和理论依据。

200℃下Li+, Mg2+, Na+//SiO32-, Cl--H2O体系高温高压相图
I硅酸镁锂, II硅酸镁锂和硅酸锂, III硅酸镁锂和矽镍皂石, IV矽镍皂石

硅酸镁锂的XRD图谱


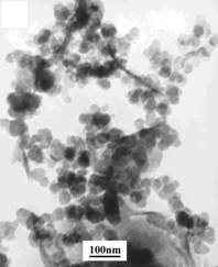
硅酸镁锂的TEM图

TiO2-硅酸镁锂复合材料孔径分布曲线

硅酸镁锂复合膜光催化反应动态过程

硅酸镁锂复合材料对亚甲基蓝Langmuir等温吸附曲线

硅酸镁锂复合材料对亚甲基蓝Langmuir吸附等温模型线性拟合

Eu2L3-Hectorite、Sm2L3-Hectorite复合材料红外光谱图

铕配合物含量对复合材料发光性能的影响

钐配合物含量对复合材料发光性能的影响